Berliner Boersenzeitung - La isla estadounidense de Guam se prepara para el impacto del supertifón Mawar

EUR -
AED 4.327013
AFN 74.799506
ALL 95.44918
AMD 434.632751
ANG 2.108473
AOA 1081.398388
ARS 1641.143952
AUD 1.623621
AWG 2.120389
AZN 2.006455
BAM 1.957801
BBD 2.372845
BDT 144.81802
BGN 1.965014
BHD 0.444516
BIF 3505.710256
BMD 1.177994
BND 1.495961
BOB 8.14032
BRL 5.788075
BSD 1.178124
BTN 112.228138
BWP 15.840325
BYN 3.294595
BYR 23088.683139
BZD 2.369452
CAD 1.609658
CDF 2604.545214
CHF 0.91602
CLF 0.026856
CLP 1057.019122
CNY 8.00443
CNH 8.00103
COP 4430.341336
CRC 539.956478
CUC 1.177994
CUP 31.216842
CVE 110.760844
CZK 24.332528
DJF 209.352695
DKK 7.473182
DOP 69.678399
DZD 155.548198
EGP 62.101135
ERN 17.669911
ETB 183.954984
FJD 2.570975
FKP 0.863991
GBP 0.863393
GEL 3.151149
GGP 0.863991
GHS 13.299276
GIP 0.863991
GMD 85.993551
GNF 10339.844194
GTQ 8.991412
GYD 246.413954
HKD 9.22188
HNL 31.326285
HRK 7.535742
HTG 154.190872
HUF 355.944446
IDR 20520.06714
ILS 3.418362
IMP 0.863991
INR 112.280561
IQD 1543.397172
IRR 1545001.028178
ISK 143.608926
JEP 0.863991
JMD 185.861548
JOD 0.835217
JPY 185.065262
KES 152.020463
KGS 103.015363
KHR 4726.831334
KMF 492.401267
KPW 1060.194583
KRW 1735.562101
KWD 0.362716
KYD 0.981812
KZT 545.822523
LAK 25844.635416
LBP 105501.229303
LKR 379.491103
LRD 215.603115
LSL 19.363156
LTL 3.47831
LVL 0.712557
LYD 7.451743
MAD 10.741679
MDL 20.192811
MGA 4898.047916
MKD 61.655417
MMK 2473.229623
MNT 4213.339863
MOP 9.500832
MRU 47.042482
MUR 55.047458
MVR 18.142479
MWK 2042.905413
MXN 20.25266
MYR 4.620681
MZN 75.285788
NAD 19.363156
NGN 1607.514748
NIO 43.356155
NOK 10.814368
NPR 179.564058
NZD 1.97433
OMR 0.452936
PAB 1.178104
PEN 4.047437
PGK 5.117317
PHP 71.981913
PKR 328.199428
PLN 4.238652
PYG 7241.37073
QAR 4.304628
RON 5.203434
RSD 117.390626
RUB 86.684882
RWF 1722.975694
SAR 4.419578
SBD 9.446843
SCR 16.494848
SDG 707.384876
SEK 10.854389
SGD 1.494126
SHP 0.879492
SLE 29.037764
SLL 24701.941457
SOS 673.293895
SRD 44.061101
STD 24382.09822
STN 24.525484
SVC 10.308668
SYP 130.224809
SZL 19.357114
THB 38.04038
TJS 11.027312
TMT 4.122979
TND 3.418215
TOP 2.836327
TRY 53.443945
TTD 7.986231
TWD 36.958389
TZS 3077.508119
UAH 51.77576
UGX 4429.565099
USD 1.177994
UYU 46.968669
UZS 14304.803211
VES 588.096996
VND 31010.693043
VUV 139.683928
WST 3.188944
XAF 656.633725
XAG 0.013721
XAU 0.000249
XCD 3.183588
XCG 2.123297
XDR 0.816642
XOF 656.639305
XPF 119.331742
YER 281.098838
ZAR 19.342423
ZMK 10603.360584
ZMW 22.275051
ZWL 379.3136
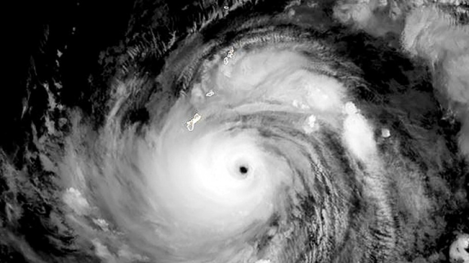
La isla estadounidense de Guam se prepara para el impacto del supertifón Mawar
La isla estadounidense de Guam se prepara para el impacto del supertifón Mawar / Foto: José Romero - Noaa/Rammb/AFP

La isla estadounidense de Guam se prepara para el impacto del supertifón Mawar

El supertifón Mawar, con vientos potencialmente catastróficos, se dirige directamente a la isla de Guam, territorio de Estados Unidos situado en el Pacífico y puesto militar de crucial importancia.

Tamaño del texto:

Según un informe del Servicio Meteorológico Nacional (NWS, por sus siglas en inglés), Mawar se estaba intensificando hasta convertirse en un supertifón de categoría cinco, con vientos máximos sostenidos de 255 kilómetros por hora.

"Estoy preocupado por la seguridad de nuestra gente. Es la primera tormenta de esta magnitud en 20 años", dijo el gobernador Lou Leon Guerrero.

En su trayectoria actual, Mawar pasará directamente sobre la isla de 170.000 habitantes, desatando lluvias torrenciales e inundaciones extremas. "Se prevé que Mawar se intensifique a lo largo de la noche", dijo el NWS.

A las 04H00 locales del miércoles (18H00 GMT del martes), la tormenta estaba 135 kilómetros al sureste de Guam, con vientos máximos sostenidos de 155 km/h, dijo la oficina del NWS en Guam en una advertencia.

"El paso muy cerca o directamente sobre Guam es inminente", dijo el meteorólogo.

"La triple amenaza del supertifón Mawar son las lluvias torrenciales que pueden provocar deslizamientos de tierra e inundaciones repentinas, vientos catastróficos e inundaciones costeras potencialmente letales", dijo.

Los vientos podrían alcanzar ráfagas de hasta 320 km/h, provocando daños importantes en edificios y casas hechos de materiales livianos.

En las costas, los grandes barcos "podrían ser arrancados de las amarras".

Las autoridades ordenaron la evacuación de las zonas costeras bajas, especialmente en las aldeas del sur propensas a inundaciones, y pidieron a todos que "se refugien inmediatamente" ante los vientos destructivos que se esperan para el miércoles por la mañana.

Unos 21.700 militares estadounidenses y sus familias tienen su base en o cerca de varias instalaciones de Guam, que habitualmente alberga submarinos nucleares de ataque, bombarderos de largo alcance y puestos de escucha electrónica.

Las bases estadounidenses también alojan algunas de las instalaciones de almacenamiento de municiones y combustible más importantes de la región del Pacífico.

Según las previsiones, las precipitaciones podrían provocar deslizamientos de tierra en el centro y el sur de la isla, advirtió el servicio meteorológico.

El presidente de Estados Unidos, Joe Biden, declaró el martes el estado de emergencia para Guam, para que se pueda proporcionar ayuda federal a la isla, según un comunicado de la Casa Blanca.

Alrededor de 60 vuelos hacia y desde Guam programados entre el martes y el jueves fueron cancelados, según el Aeropuerto Internacional A.B. Won Pat.

Se prevé que las condiciones mejoren el jueves.

(K.Müller--BBZ)